В Кемерове появится новый микрорайон площадью 11 гектаров

Мэрия Кемерова утвердила строительство жилого квартала в Ленинском районе.
28.10.2025  16:30
Общество
614

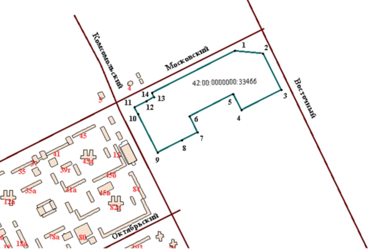
Площадь нового микрорайона составит 11 га. Он разместится в границах проспектов Комсомольский, Московский, Восточный и рядом с уже существующим микрорайоном 61/2.

Согласно документу, предельный срок реализации проекта составит 10 лет с момента заключения договора с застройщиком. При этом подрядчика на строительство пока не определили.

На территории разрешено возведение многоэтажных жилых домов выше девяти этажей, а также объектов коммунальной инфраструктуры, школ, детских садов, медицинских учреждений, административных зданий и общежитий.

Параллельно планируется развитие соседних микрорайонов 61/2, 62/1 и 62/2, которые будут иметь аналогичную площадь.

Cледите за главными новостями Кемеровской области в Telegram-канале, «ВКонтакте» и «Одноклассниках».