В Кемерове провалились торги на строительство микрорайона

Новостройка в Кемерове осталась без инвесторов: никто не рискнул вложить миллиарды в новое жилье областного центра Кузбасса.
17.01.2026  11:36
Общество
2163

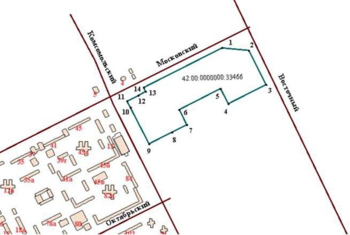
Городские власти рассчитывали превратить участок земли размером 11 га в современный жилой район рядом с перспективными кварталами проспекта Комсомольского, Московского и Восточного. Планировалось создать новую жилую зону микрорайона 61/1 общей стоимостью около 12,3 миллиардов рублей, при стартовом контракте в 319 миллионов рублей и сроке реализации проекта — десять лет.

Однако ожидаемый инвестиционный интерес не проявился: аукцион прошел без единой заявки. Информация из реестра подтверждает полное отсутствие желающих вложить значительные средства в этот проект. Городской администрации предстоит снова инициировать процедуру торгов и надеяться на привлечение заинтересованных инвесторов.

Cледите за главными новостями Кемеровской области в Telegram-канале, «ВКонтакте» и «Одноклассниках».